Deeper MAX Ice Fishing Guide: Setup, Sonar Tips, and GPS Marking

This guide explains everything you need to get the best results ice fishing with Deeper MAX. Learn how to prepare the ice hole for accurate scanning, use all the right settings, interpret the sonar’s display (circular flasher, vertical flasher, and sonar history), mark ice holes using the app’s GPS, and keep your equipment working even in harsh winter conditions.

Preparing the Ice Hole for Best Readings

  • Drill a vertical ice hole. Angled holes can cause bad readings or blind spots.

  • Drill a larger hole if ice is very thick. This helps ensure the sonar cone does not reflect off the side of the ice.

  • Keep the hole free from slush, ice, and snow. Even small debris can create false returns or missed fish.

  • Place your Deeper MAX upright, centered, and free-floating in the hole.

  • Skim regularly. Throughout your session, use a skimmer to keep the hole clear for best results.

Ice Fishing Mode and Recommended Settings in the Fish Deeper App

1. Place your Deeper MAX in the water, then connect to it using the Fish Deeper app.

2. Select Ice Fishing Mode.

3. Narrow beam (7°) is selected by default in Ice Fishing Mode for the best accuracy and target separation, but you can also switch to the 20° beam if needed.

4. Set up the display:

   - Traditional sonar history. This view scrolls from right to left, displaying fish, your jig, and the bottom as colored arches or lines (recommended).

   - Circular flasher (flasher view). Shows real-time returns in a rotating, color-coded ring - green/yellow for your lure or bait, red/orange for the bottom, and green/yellow for fish.

   - Vertical flasher view. At the very top you will see a blob of white that is moving slightly - this is the ice. Then at the bottom of the display there will be a thick white shape that tapers off at the bottom – this is the bottom. Any lure, jig or fish will be shown in between these two as moving white bands. The size and thickness of the band gives you an indication of the size of the object.

5. Sensitivity: Set to 80–100%. Lower only if there is excessive clutter or interference.

6. Fish Icons are disabled by default in Ice Fishing Mode and cannot be enabled, as the icons would also mark your lure as a fish.

7. Use zoom and split-screen if targeting fish close to the bottom.

8. Always update your app to the latest version for best features and accuracy.

How to Mark and Return to Ice Holes with GPS

Fish Deeper app lets you mark every ice hole with your phone or tablet’s GPS.

  • The location of each ice hole is marked automatically in the app as soon as you place your Deeper MAX in the hole—no action is needed from you.

  • Why mark holes? You can see all your saved holes on the map - making it easy to return to the most productive spots later in the day, in the season, or the next year.

  • Tip: The Fish Deeper app can save and show unlimited hole locations, so you can build a permanent map of your favorite waters.

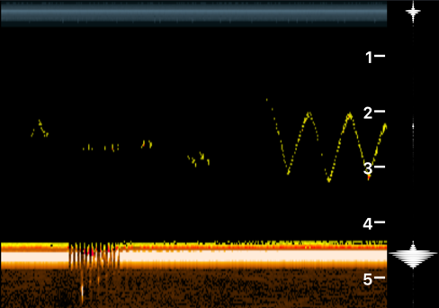
Reading Fish and Tracking Your Lure: How to Use the Display

Circular Flasher View. The circular flasher is a traditional “ice fishing sonar” display:

  • The large red or orange band represents the bottom.

  • Green or yellow lines show your lure or jig as it moves up and down.

  • Fish appear as green/yellow bars moving toward or away from your lure.

  • The flasher is instant - showing what’s happening right now, in real time.

Vertical Flasher View. On the right-hand side of the display screen is the Vertical Flasher. Here all the sonar readings are shown in white on a black background.

  • At the very top, you will see a blob of white that moves slightly - this represents the ice.

  • At the bottom, there will be a thick white shape that tapers off - this is the bottom.

  • Any lure, jig, or fish will appear as moving white bands between the ice and the bottom.

  • The size and thickness of each band gives you an indication of the size of the object.

Traditional Sonar History.

  • This is a scrolling, right-to-left display:

  • Shows arches or lines for fish, bottom, and your lure over time.

  • You can review previous fish movements and jig activity, not just real-time.

Split-screen View. Most ice anglers prefer split-screen - showing the circular flasher and sonar history, or the vertical flasher and sonar history, together for the fullest detail.

Best Practices: Battery Care in Extreme Cold

For Deeper MAX:

  • Only power on Deeper MAX when you’re ready to scan. When you remove Deeper MAX from the water, dry it off - this will ensure it powers off automatically and helps preserve battery life.

  • Store your Deeper MAX in an inside pocket or insulated bag when not scanning. Bringing a cold unit inside for a few minutes restores battery strength.

  • If possible, charge indoors at room temperature.

For your smartphone/tablet:

  • Keep your phone or tablet in an inner jacket pocket or other warm area between uses. For extra protection in cold conditions, consider using the Deeper Winter Smartphone Case 2.0

  • Consider using touch screen gloves or a stylus for phone operation outdoors.

  • Carry a fully charged power bank as backup for longer sessions.

Why this matters: Cold can rapidly reduce battery performance in any device. A few simple steps can extend both phone and sonar run time, even on long days or multi-day trips.

Troubleshooting & Common Ice Fishing Issues

- Unstable readings or lost bottom: Almost always caused by slush, ice, or a tilted sonar - clear the hole and check your Deeper MAX is centered in the ice hole.

- GPS not marking hole: Make sure location permissions are enabled in the application.

Summary & Key Reminders

  • Drill a clean, vertical hole and keep it clear for accurate sonar returns.

  • Use Ice Fishing Mode in the Fish Deeper app with traditional sonar, circular flasher, and vertical flasher views.

  • Mark every hole with GPS to easily return to productive spots.

  • Monitor battery health for both Deeper MAX and your smartphone in cold weather.

  • Fish Icons OFF, sensitivity high, narrow beam always in use.

  • Split-screen view offers maximum data for fish and lure tracking.